At the September 7, 2023 BPAC Infrastructure Committee meeting, OakDOT’s Jason Patton, Jason Cook, and David Pené led a review and discussion of draft plans and candidate locations for spot bicyclist and pedestrian improvements anticipated for delivery through the City’s on-call construction contracts later this year.
An excerpt of the presentation is below, followed by the full presentation [3.4MB PDF], draft plans [8.2MB PDF], and presentation & discussion notes.
Categories of work
- Spot improvement suggestions
- Curbside buffered bike lane upgrades
- City Council budget earmarks (FY21-23)
- Gap closures
- Caltrans encroachment clean-up
Plan page-thru/working location list
- Adeline St (35th St to 36th St) completing the PG&E-installed road diet and buffered bike lanes
- West St (35th St to 36th St) redesign
- Market St (18th St to 19th St) – (2021 Condition) protection for curbside bike lane
- Mandela Pkwy northbound at Peralta St: green conflict zone and vertical element
- Broadway (38th St to MOB garage entrance) southbound bike lane
- Broadway at 25th St turn box
- Washington St: bike lanes from Embarcadero to 2nd St and from 7th St to 10th St
- Oakland Ave (Monte Vista Ave to Piedmont city limit): closing bike lane gap
- Harrison St slip turn approaching Grand Ave: adding delineators/plastic curb to bike lane buffer
- San Pablo Ave (63rd St to 63rd St) buffered bike lanes
- Martin Luther King Jr Wy (San Pablo Ave to W Grand Ave) buffered bike lanes
- City Council Earmarks:
- Lakeshore/Prince St pedestrian safety island
- 96th Ave/Sunnyside St traffic circle
- 38th Ave/Penniman Ave traffic circle
- (in progress) MacArthur Blvd (55th Ave to Richards Rd): bike lane buffer hardening through 55th Ave curve (Curve 2) and on the approach to Richards Rd
Candidates for adding scope (as feasible)
- Candidates for upgrading curbside buffered bike lanes to separated bike lanes:
- 17th St – San Pablo Ave to Telegraph Ave
- MarketSt – 3rd St to 7th St
- 3rd St/Mandela Pkwy – 5th St to Union St
- MacArthur Blvd – High St to Calaveras Ave
- 73rd Ave – MacArthur Blvd to Halliday Ave
- Broadway – 150 ft south of Pleasant Valley Rd to College Ave
- 20th St – Harrison St to Broadway
- Crosswalk upgrades at school crossing guard posts
- Utility trenching locations where OakDOT no longer has recourse to require striping restoration
- Maritime St Path: restriping of worn crosswalks
- Speed humps on NBRs without planned paving (including streets previously paved)
- Path improvements connecting 34th Ave through Peralta Hacienda
Presentation





Draft plans




















Presentation & discussion notes
- Bike program team looking into small spot treatments to stitch bikeway network together and upgrade locations where feasible.
- 2024 construction timing — a few hundred thousand dollars budget
- Larger than a city crew work order, but smaller than grant-funded capital project
- Curbside buffered to protected bike lanes — Candidate list from previous committee discussion in 2019
- Adeline St, 35th to 36th St – Caltrans right of way
- Caltrans encroachment permit ready to be submitted
- Gap closure between West Oakland and Emeryville
- West St, 35th to 36th St – Caltrans right-of-way
- Adding buffer to existing bikeway, also removing left-turn lane
- Caltrans is updating their own design standards to allow for less than 11 foot lanes, but will only apply to their own streets and not local streets that intersect with Caltrans facilities. Follow up with the California Bicycle Coalition if interested in learning more.
- Curbside parking was allowed here previously, then was removed — May or may not be added back
- Market St, 18th to 19th St
- Adding protection to existing buffer space
- Mandela Parkway northbound to Peralta
- Tighten right-turn radius to slow turning cars
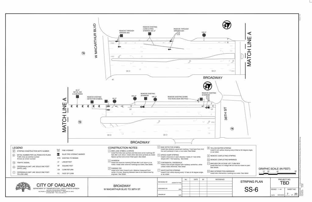
- Broadway, West MacArthur and 38th St
- Narrowing lanes to fit bike lane
- Kaiser shuttles don’t fit into the existing parking lane
- Area is generally dangerous for bike riders — Hard to say whether the positives outweigh the negatives
- Support for the city moving forward on a separate, bigger project here both south and northbound, not waiting for Kaiser redevelopment of the empty lot
- Broadway and 25th/Webster
- Adding left turn bike box to facilitate southbound turn onto Webster
- Washington St, Embarcadero to 2nd St – Adding buffered bike lane gap closure
- Washington St, 7th to 10th – Basic bike lane
- Paving is really bad in this area — Not sure if it is worth to restripe without paving
- Oakland Ave – Bike lane gap closure at Piedmont border
- Harrison St at Grand Ave – Upgrading buffered bike lane to protected
- San Pablo Ave at 63rd St – Adding buffered bike lanes to jog along 63rd St
- MLK Jr Way from San Pablo Ave and West Grand Ave – Adding buffered bike lanes both directions
- May add in San Pablo Ave restoration removed by utility, if no follow up from utility
- Lakeshore and Prince – Median refuge island
- 96th Ave and Sunnyside, 38th Ave and Penniman – Mini concrete traffic circles
- MacArthur Blvd, 55th Ave and Richards Rd – Upgrading buffered bike lane to protected